宁化县自然资源局关于国能集团宁化县翠江镇25MW渔光互补光伏电站工程规划设计方案的批前公示
一、 项目基本情况
1.项目名称: 国能集团宁化县翠江镇25MW渔光互补光伏电站
2.建设单位: 国能(宁化)新能源有限公司
3.建设位置:莲塘食品加工园
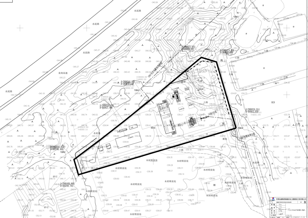
4.建设规模: 总用地面积4436㎡,构筑物占地面积636.41㎡,构筑物面积636.41㎡,项目具体规划指标及总平面图方案详见附图。
二、 公示日期
2026年3月17日-2026年3月24日
三、反馈方式
来信来访:宁化县南大街81号(邮编: 365400)
联系电话:0598-6683115
附图:设计方案总平面图
宁化县自然资源局
2026年3月17日
扫一扫在手机上查看当前页面


闽公网安备号: